skip to main content

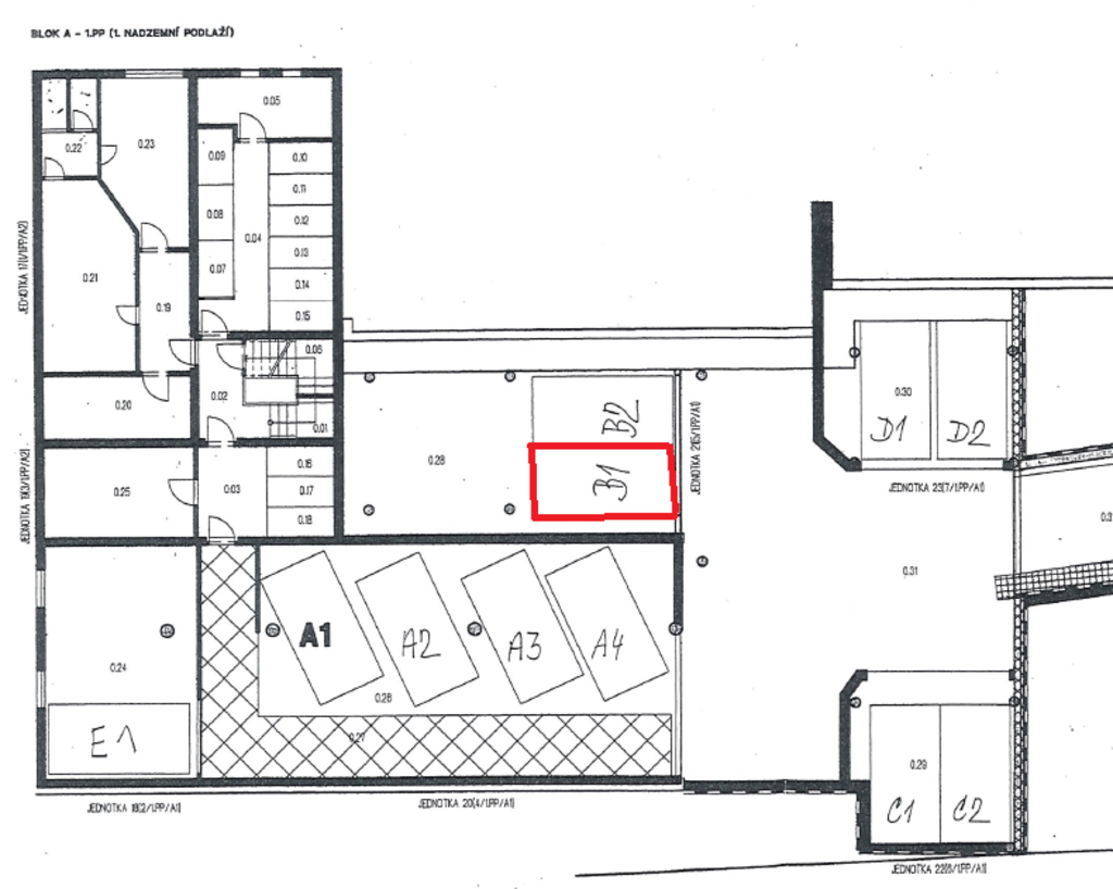
Garážové stání B1 - k.ú. Horní Heršpice, Brno-město

Anglická licitace

c. Parkovací stání č. 645/21, Horní Heršpice, Brno-město | Podrobný popis

Garážové stání B1

Jedná se o spoluvlastnických podílů ve výši ½:

  • jednotka č. 645/21, způsob využití – rozestavěná jednotka, zapsáno na LV 1783, vymezeno v: 

Budova: Horní Heršpice, č.p. 645, byt. dům, LV 1276, na parcele č. 1063/5,  1063/6

Parcela: 1063/5 zastavěná plocha a nádvoří, evidovaná výměra 161 m2

                 1063/6 zastavěná plocha a nádvoří, evidovaná výměra 142 m2

  • spoluvlastnický podíl ve výši id. 6826/99944 na společných částech domu a pozemku

vše zapsáno v katastru nemovitostí u Katastrálního úřadu pro Jihomoravský kraj, Katastrální pracoviště Brno-město, obec Brno (okres Brno-město), část obce Horní Heršpice, katastrální území Horní Heršpice na LV 1276, 1783.



Katastrální/detailní popis

  • jednotka č. 645/21, způsob využití – rozestavěná jednotka, zapsáno na LV 1783, vymezeno v: 

Budova: Horní Heršpice, č.p. 645, byt. dům, LV 1276, na parcele č. 1063/5,  1063/6

Parcela: 1063/5 zastavěná plocha a nádvoří, evidovaná výměra 161 m2

                 1063/6 zastavěná plocha a nádvoří, evidovaná výměra 142 m2

  • spoluvlastnický podíl ve výši id. 6826/99944 na společných částech domu a pozemku

vše zapsáno v katastru nemovitostí u Katastrálního úřadu pro Jihomoravský kraj, Katastrální pracoviště Brno-město, obec Brno (okres Brno-město), část obce Horní Heršpice, katastrální území Horní Heršpice na LV 1783, 1276.





Log

Kontaktní osoba

Klára Křížová

Adresa

Prohlídky

Forma prodeje Anglická licitace
Stav neprodáno
Typ Nemovité věci > Pozemky
Číslo účtu 123-7498800217/0100
Vyvolávací cena 405 300 Kč
Aukční jistota 50 000 Kč
Minimální hodnota příhozu 5 000 Kč
Aktuální příhoz {{ currentBid }} Kč
Termín konání 13.5.2025 09:15:00
Předpokládaný konec 13.5.2025 10:15:00
Čas do konce již proběhlo
Aktuální datum 5.5.2026 11:12:53

Dokumenty


Aktuální nabídka

dražba
...

Bytová jednotka 3+1, č. 240/1, na ulici Zámecká, v obci Náchod


Nejnižší podání: 3 607 000 Kč
Termín konání: 12. 5. 2026, 08:00
dražba
...

Bytová jednotka 3+1, č. 240/2, na ulici Zámecká, v obci Náchod


Nejnižší podání: 3 607 000 Kč
Termín konání: 12. 5. 2026, 08:00
dražba
...

Pozemek 2 274 m2 Svébohov, okres Šumperk


Nejnižší podání: 1 600 000 Kč
Termín konání: 12. 5. 2026, 09:15
dražba
...

RD Olšovec, okres Přerov


Nejnižší podání: 2 990 000 Kč
Termín konání: 12. 5. 2026, 13:00
výběrové řízení
...

Hotel Metternich Lázně Kynžvart, okres Cheb


Uzavření nabídek: 15. 5. 2026, 12:00
dražba
...

Byt 2+1, Brno - Veveří, ulice Bayerova


Nejnižší podání: 9 350 000 Kč
Termín konání: 19. 5. 2026, 10:30
dražba
...

Pozemky Bušín, okres Šumperk 3K


Nejnižší podání: 600 000 Kč
Termín konání: 21. 5. 2026, 10:00
výběrové řízení
...

Nebytový prostor a podíl na garážovém stání, ulice Křižíkova, Praha - Karlín


Uzavření nabídek: 21. 5. 2026, 11:00
dražba
...

Spoluvlastnický podíl 1/5 na RD se zahradou Lány, okres Kladno


Nejnižší podání: 900 000 Kč
Termín konání: 21. 5. 2026, 10:20
přímý prodej
...

Město Skuteč nabízí stavební pozemky v lokalitě Špitálská louka


dražba
...

Rodinný dům se zahradou Proseč u Skutče


Nejnižší podání: 3 807 000 Kč
Termín konání: 28. 5. 2026, 09:30
dražba
...

Město Skuteč stavební pozemky Špitálská louka - dražba D01 - parcela 1096/10 o velikosti 422 m2


Nejnižší podání: 1 021 240 Kč
Termín konání: 28. 5. 2026, 10:00
Jak uspět a vydražit

Jak uspět a vydražit

1. Registrovat se

2. Uhradit jistotu = vratnou kauci

3. Přihlásit se

Zobrazit správný postup