skip to main content

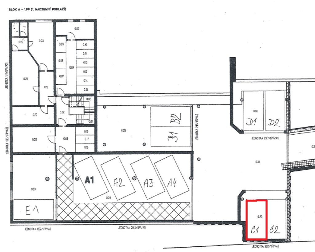
Garážové stání C1 - k.ú. Horní Heršpice, Brno-město

Anglická licitace

d. Parkovací stání č. 645/22, Horní Heršpice, Brno-město | Podrobný popis

Garážové stání C1

Jedná se o spoluvlastnický podíl ve výši id. ½:

  • jednotka č. 645/22, způsob využití – rozestavěná jednotka, zapsáno na LV 1783, vymezeno v: 

Budova: Horní Heršpice, č.p. 645, byt. dům, LV 1276, na parcele č. 1063/5,  1063/6

Parcela: 1063/5 zastavěná plocha a nádvoří, evidovaná výměra 161 m2

                1063/6 zastavěná plocha a nádvoří, evidovaná výměra 142 m2

  • spoluvlastnický podíl ve výši id. 2580/99944 na společných částech domu a pozemku

vše zapsáno v katastru nemovitostí u Katastrálního úřadu pro Jihomoravský kraj, Katastrální pracoviště Brno-město, obec Brno (okres Brno-město), část obce Horní Heršpice, katastrální území Horní Heršpice na LV 1276, 1783.



Katastrální/detailní popis

  • jednotka č. 645/22, způsob využití – rozestavěná jednotka, zapsáno na LV 1783, vymezeno v: 

Budova: Horní Heršpice, č.p. 645, byt. dům, LV 1276, na parcele č. 1063/5,  1063/6

Parcela: 1063/5 zastavěná plocha a nádvoří, evidovaná výměra 161 m2

                1063/6 zastavěná plocha a nádvoří, evidovaná výměra 142 m2

  • spoluvlastnický podíl ve výši id. 2580/99944 na společných částech domu a pozemku

vše zapsáno v katastru nemovitostí u Katastrálního úřadu pro Jihomoravský kraj, Katastrální pracoviště Brno-město, obec Brno (okres Brno-město), část obce Horní Heršpice, katastrální území Horní Heršpice na LV 1783, 1276.





Log

Kontaktní osoba

Klára Křížová

Adresa

Prohlídky

Forma prodeje Anglická licitace
Stav neprodáno
Typ Nemovité věci > Pozemky
Číslo účtu 123-7498800217/0100
Vyvolávací cena 171 627 Kč
Aukční jistota 50 000 Kč
Minimální hodnota příhozu 5 000 Kč
Aktuální příhoz {{ currentBid }} Kč
Termín konání 13.5.2025 09:45:00
Předpokládaný konec 13.5.2025 10:45:00
Čas do konce již proběhlo
Aktuální datum 14.5.2026 11:19:15

Dokumenty


Aktuální nabídka

výběrové řízení
...

Hotel Metternich Lázně Kynžvart, okres Cheb


Uzavření nabídek: 15. 5. 2026, 12:00
dražba
...

Byt 2+1, Brno - Veveří, ulice Bayerova


Nejnižší podání: 9 350 000 Kč
Termín konání: 19. 5. 2026, 10:30
výběrové řízení
...

Nebytový prostor a podíl na garážovém stání, ulice Křižíkova, Praha - Karlín


Uzavření nabídek: 21. 5. 2026, 11:00
přímý prodej
...

Město Skuteč nabízí stavební pozemky v lokalitě Špitálská louka


dražba
...

Rodinný dům se zahradou Proseč u Skutče


Nejnižší podání: 3 807 000 Kč
Termín konání: 28. 5. 2026, 09:30
dražba
...

Město Skuteč stavební pozemky Špitálská louka - dražba D01 - parcela 1096/10 o velikosti 422 m2


Nejnižší podání: 1 021 240 Kč
Termín konání: 28. 5. 2026, 10:00
dražba
...

Město Skuteč stavební pozemky Špitálská louka - dražba D02 - parcela 1096/11 o velikosti 477 m2


Nejnižší podání: 1 154 340 Kč
Termín konání: 28. 5. 2026, 10:15
dražba
...

Město Skuteč stavební pozemky Špitálská louka - dražba D03 - parcela 1096/12 o velikosti 438 m2


Nejnižší podání: 1 059 960 Kč
Termín konání: 28. 5. 2026, 10:30
dražba
...

Město Skuteč stavební pozemky Špitálská louka - dražba D04 - parcela 1096/13 o velikosti 514 m2


Nejnižší podání: 1 243 880 Kč
Termín konání: 28. 5. 2026, 10:45
dražba
...

Město Skuteč stavební pozemky Špitálská louka - dražba D05 - parcela 1093/20 o velikosti 430 m2


Nejnižší podání: 1 040 600 Kč
Termín konání: 28. 5. 2026, 11:00
dražba
...

Město Skuteč stavební pozemky Špitálská louka - dražba D06 - parcela 1093/21 o velikosti 395 m2


Nejnižší podání: 955 900 Kč
Termín konání: 28. 5. 2026, 11:15
dražba
...

Město Skuteč stavební pozemky Špitálská louka - dražba D07 - parcela 1093/22 o velikosti 402 m2


Nejnižší podání: 972 840 Kč
Termín konání: 28. 5. 2026, 11:30
Jak uspět a vydražit

Jak uspět a vydražit

1. Registrovat se

2. Uhradit jistotu = vratnou kauci

3. Přihlásit se

Zobrazit správný postup