skip to main content

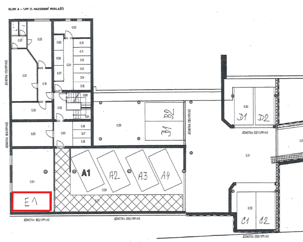
Garážové stání E1 - k.ú. Horní Heršpice, Brno-město

Anglická licitace

E1 parkovací stání č. 645/18, Horní Heršpice, okres Brno-město | Podrobný popis

Garážové stání E1

Jedná se o jednotku č. 645/18, způsob využití – rozestavěná jednotka, zapsáno na LV 1783, vymezeno v: 

Budova: Horní Heršpice, č.p. 645, byt. dům, LV 1276, na parcele č. 1063/5,  1063/6

Parcela: 1063/5 zastavěná plocha a nádvoří, evidovaná výměra 161 m2

                 1063/6 zastavěná plocha a nádvoří, evidovaná výměra 142 m2

  • spoluvlastnický podíl ve výši id. 3525/99944 na společných částech domu a pozemku

vše zapsáno v katastru nemovitostí u Katastrálního úřadu pro Jihomoravský kraj, Katastrální pracoviště Brno-město, obec Brno (okres Brno-město), část obce Horní Heršpice, katastrální území Horní Heršpice na LV 1276, 1783.



Katastrální/detailní popis


  • jednotka č. 645/18, způsob využití – rozestavěná jednotka, zapsáno na LV 1783, vymezeno v: 

Budova: Horní Heršpice, č.p. 645, byt. dům, LV 1276, na parcele č. 1063/5,  1063/6

Parcela: 1063/5 zastavěná plocha a nádvoří, evidovaná výměra 161 m2

                 1063/6 zastavěná plocha a nádvoří, evidovaná výměra 142 m2

  • spoluvlastnický podíl ve výši id. 3525/99944 na společných částech domu a pozemku


vše zapsáno v katastru nemovitostí u Katastrálního úřadu pro Jihomoravský kraj, Katastrální pracoviště Brno-město, obec Brno (okres Brno-město), část obce Horní Heršpice, katastrální území Horní Heršpice na LV 1276, 1783.





Log

Kontaktní osoba

Klára Křížová

Adresa

Prohlídky

Forma prodeje Anglická licitace
Stav neprodáno
Typ Nemovité věci > Pozemky
Číslo účtu 123-7498800217/0100
Vyvolávací cena 471 454 Kč
Aukční jistota 50 000 Kč
Minimální hodnota příhozu 5 000 Kč
Aktuální příhoz {{ currentBid }} Kč
Termín konání 13.5.2025 10:45:00
Předpokládaný konec 13.5.2025 11:45:00
Čas do konce již proběhlo
Aktuální datum 9.11.2025 10:28:51

Dokumenty


Aktuální nabídka

dražba
...

Garážové stání v Brně - Královo Pole, ulice Högrova


Nejnižší podání: 430 000 Kč
Termín konání: 18. 11. 2025, 09:30
dražba
...

Práva výrobce zvukového záznamu k nahrávkám a ochranná známka TOMMÜ


Nejnižší podání: 183 333 Kč
Termín konání: 19. 11. 2025, 10:00
výběrové řízení
...

Obchodní podíl 100 % společnosti OnSite Power 5 s.r.o.


Uzavření nabídek: 19. 11. 2025, 11:00
dražba
...

Spoluvlastnický podíl ve výši id. ½ na RD Provodín, okres Česká Lípa


Nejnižší podání: 2 300 000 Kč
Termín konání: 19. 11. 2025, 10:00
dražba
...

Spoluvlastnický podíl ve výši id. 1/2 na RD Horní Radechová a id. 2/24 na pozemku Nesvačily u Bystřice


Nejnižší podání: 1 490 000 Kč
Termín konání: 19. 11. 2025, 10:00
dražba
...

Pozemek p.č. 495/2 Ústí u Vsetína, okres Vsetín


Nejnižší podání: 171 000 Kč
Termín konání: 19. 11. 2025, 10:30
dražba
...

Pozemek p.č. 566/6 Lštění nad Zubřinou, obec Blížejov, okres Domažlice


Nejnižší podání: 65 000 Kč
Termín konání: 19. 11. 2025, 10:30
dražba
...

Pozemek p.č. 778 Šarovy, okres Zlín


Nejnižší podání: 150 000 Kč
Termín konání: 19. 11. 2025, 10:30
dražba
...

Pozemek p.č 2324 Kožichovice, okres Třebíč


Nejnižší podání: 37 000 Kč
Termín konání: 19. 11. 2025, 10:30
dražba
...

Pozemek p.č. 585/12 Lštění nad Zubřinou, obec Blížejov, okres Domažlice


Nejnižší podání: 39 000 Kč
Termín konání: 19. 11. 2025, 10:30
dražba
...

Pozemek p.č. 460 Sušno, obec Kropáčova Vrutice, okres Mladá Boleslav


Nejnižší podání: 197 000 Kč
Termín konání: 19. 11. 2025, 10:30
dražba
...

Pozemky Kladruby u Vlašimi, obec Kladruby, okres Benešov


Nejnižší podání: 12 000 Kč
Termín konání: 19. 11. 2025, 10:30
Jak uspět a vydražit

Jak uspět a vydražit

1. Registrovat se

2. Uhradit jistotu = vratnou kauci

3. Přihlásit se

Zobrazit správný postup